º¸¾ÈÁ¢¼Ó
   
    Á¶/Ȳ/Á¤/º¸  
³¬½ÃÀÎ Á¶È²Á¤º¸

ºÎ¿ï°æ Á¶È²¼Óº¸

¿øµµ±Ç Á¶È²¼Óº¸
    ½º/Æä/¼È/ÄÚ/³Ê
Ãßõ°¡Á·³¬½ÃÅÍ

±×°÷¿¡ °¡°í½Í´Ù

³¬½ÃÁöµµ/¹è/±æ

³¬½ÃÅ͹ٴٻóȲ

³¬½Ã°ü·Ã»çÀÌÆ®
¢º ÇöÀçÁ¢¼ÓÀÚ
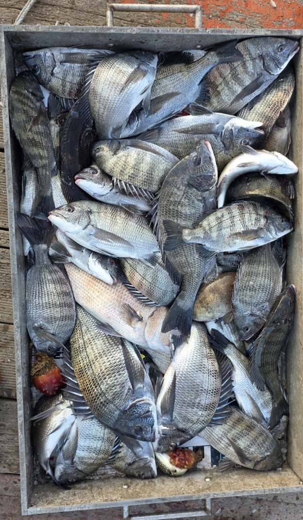
°¨¼ºµ¼È긲¶¼°í±â(dzȭ¸®4ź)
    ³¬½ÃÀÎ.....½Ç½Ã°£ °³ÀÎÁ¶È²  
         µ¿³×³¬½ÃÅÍ ºÎÅÍ ¿øµµ±Ç ³¬½ÃÅͱîÁö Á¶È²°ü·Ã Á¤º¸¸¦ ³ª´©°í °øÀ¯Çϴ°÷ÀÔ´Ï´Ù.   
 
¢Ñ 1ÁÖÀÏ ÀÌ»óµÈ Á¶È²,»ó¼¼Á¶È²Àº Á¶Çà±â/»çÁøÁ¶Çà±â¶õÀ» ÀÌ¿ëÇØÁֽñ⠹ٶø´Ï´Ù.
¤ýÁ¶È² ÀÛ¼ºÀÚ °¨½ÃÃß³ë²Û  ( gjqm3218 )      Àüü±Û : 76   
¤ýÀÛ¼ºÀÏ 2026-02-18 (¼ö) 01:58
¤ýºÐ ·ù °¹¹ÙÀ§,¹æÆÄÁ¦Á¶È²
¤ýÁö¿ª [Å뿵]
¤ýÀÏÀÚ,Àå¼Ò,Àοø 2/16
¤ý¹°¶§,¹Ù´Ù»óȲ 6¹°2ÀÎ
¤ýÁ¶È²³»¿ë¿ä¾à ¶¼
¤ýÁ¶È¸: 1473      
¤ýIP: 49.xxx.20
 
°¨¼ºµ¼È긲¶¼°í±â(dzȭ¸®4ź)

¾È³çÇϼ¼¿ä
¸íÀý¿¬ÈÞ Àߺ¸³»°í °è½Å°¡¿ä?
Àúµµ ¿¬ÈÞ¶ó ¹Ù»ÛÀÏ Àá½Ã ³»·Á³õ°í ³¬½Ã¸¦ ´Ù³à¿Ô´Âµ¥¿ä
¸çÄ¥Àü¿¡ °¡´öµµ °¹¹ÙÀ§°¡¼­ 30Áß¹Ý~40¼¾Ä¡±Þ °¨¼ºµ¼ 5¸¶¸® Àâ¾Ò´Âµ¥
¿µ~ ¼º¿¡Â÷Áú ¾Ê°í ÇØ¼­ ¶Ç´Ù½Ã  Å뿵¿¡ '°æ½Å·¹Àú' ¿¹¾àÀ» Çϰí
¼±¿Ü±â È긲³¬½Ã¸¦ ´Ù³à¿Ô½À´Ï´Ù
ÇÑ´ÞÀüÂë °¬´ø Æ÷ÀÎÆ®¿¡´Â °¨½Ã°¡ ºüÁö°í À̵¿À» ½ÃÀÛÇß´Ù´Â
°æ½Å·¹Àú ¼±Àå´Ô ¸»¾¸À» µè°í ¤¾îÁֽô Æ÷ÀÎÆ®·Î ¿­½ÉÈ÷ ´Þ·Á°¬½À´Ï´Ù
º¹¾î+¸Á»ó¾î ¼ºÈ­°¡ ¾öû³ª´õ±º¿ä
³¬½Ã¸¦ ¹è¿ï¶§ Àâ¾îÀÇ ¼ºÈ­¿¡µµ ¹Ø¹äÀ» °è¼Ó ÁÖ¶ó°í ¹è¿ü´Âµ¥
ÁÖ¸é ÁÙ¼ö·Ï ´õ ±Ø¼ºÀ» ÇÇ¿ì´Â º¹¾î¶§¹®¿¡ ¸ðµç ¹Ì³¢°¡ ³²¾Æ³ªÁú ¾Ê¾Ò½À´Ï´Ù Å©¸±¼ø»è ¿Á¼ö¼ö¼ø»è °æ´Ü¼ø»è
±×·¡¼­ ³»¸° °á·ÐÀº ¹Ø¹äÀ» ²÷ÀÚ~!!
1½Ã°£µ¿¾È ¹Ø¹äÀ» ²÷°í ¼±¿Ü±â ¹°Ä­¾È¿¡ µé¾îÀÖ´Â »ý¸Û°Ô¸¦ Ä®·Î ¼ÕÁúÀ» ÇØ¼­ ¹Ø¹ä¾øÀÌ ´Ù½Ã ½ÃÀÛÇØº¾´Ï´Ù
¸·´ëÂî°¡ ½½¸ç½Ã Àá±â´Â ÀÔÁú¿¡ äÁö¾Ê°í ±â´Ù·Áº¾´Ï´Ù
´Ù½Ã¿Ã¶ó¿À¸é º¹¾î°í ±×´ë·Î °¡Á®°¡¸é °¨½Ã´Ù
±×´ë·Î °¡Á®°¡³×¿ä èÁú~´úÄÈ °¨½Ã³×¿ä
°í±âµé¾î¿Ô´Ù´Â È®½Å¿¡ ¹Ø¹ä¾çÀ» ÇöÀúÈ÷ ÁÙÀÌ°í ´Ù½Ã ¸Û°Ô·Î ÇØº¾´Ï´Ù
ÀÔÁúÀÌ »ó´çÈ÷ ÃßÀâ´õ¶ó°í¿ä ±Ùµ¥ °É¸é °¨½ÃÀÔ´Ï´Ù
º¹¾î°¡ Á» ´úÇϴ°Ͱ°¾Æ¼­ Á÷Á¢¸¸µé¾î¾²´Â °æ´ÜÀ¸·Î ¹Ù²ã¼­ ´øÁö´Ï
ÂßÂß °¡Á®°¡³×¿ä
ÁÁÀº¾¾¾Ë°ú ÀÛÀº¾¾¾ËÀÌ °°ÀÌ ¹°¾î¶§´Âµ¥ Á¤½ÅÀ̾ø³×¿ä
´úÄÈ ²ÚÄî²Ú~  ÈÇ·¯µ¢ ¹þ°ÜÁö±âµµ ¸¹ÀÌ ¹þ°ÜÁö´Âµ¥µµ °è¼Ó ÀÔÁúÀÌ µé¾î¿É´Ï´Ù
Áý»ç¶÷°ú µÑÀ̼­ ÁÖ°Å´Ï¹Þ°Å´Ï ¾à40¸¶¸®
Àâ´ÙÀâ´Ù ÁöÃļ­ ±×¸¸ ÇÏÀÚ°í ö¼öÇß½À´Ï´Ù
°æ½Å·¹Á®  ¼±Àå´ÔÀÌ Æ÷ÀÎÆ®¸¦ Áö´ë·Î ¤¾îÁּż­ ´ë¹ÚÁ¶È²À» ¸¸³¯¼ö ÀÖ¾ú´Ù°í »ý°¢ÇÕ´Ï´Ù ÆÈ¸ñÀÌ ¾ÆÁ÷µµ ¾ÆÇÁ³×¿ä
¼Õ¸À °íÇÁ½ÅºÐµé "°æ½Å·¹Àú" Àû±ØÃßõµå¸®´Ï ºÎ³¬¿¡ Á¶Çà±âº¸°í ¿¬¶ôÇß´ÙÇϸé ÀßÇØÁֽǰ̴ϴÙ
³²Àº ¸íÀý¿¬ÈÞ ¸¶¹«¸® ÀßÇϽðí
»õÇØº¹ ¸¹ÀÌ ¹ÞÀ¸¼¼¿ä


        
[ ³¬½ÃÅÍ È¯°æº¸È£ ÄÍÆäÀÎ ]    ¾²·¹±â ¼ö°Å ÀÎÁõ¼¦    " ÇÑ ºÀ´Ù¸® Çß½À´Ï´Ù ! "
°ÅâÇÑ ¸»º¸´Ù ³¬½ÃÀÎÀÇ ÀÛÀº½ÇõÀÌ ³¬½ÃÅÍȯ°æÀ» ¹Ù²Ü¼ö ÀÖ½À´Ï´Ù.
   ³¬½ÃÀ̾߱â 
¤ýÀº¼º»ç´Â ȨÆäÀÌÁöµµ ÀÖ°í¿ä Æó¾÷ ¾ÈÇß½À
02/21
¤ý±×·¸°Ô ±Ã±ÝÇϸé ÀÚ½ÅÀÌ Ç°ÆÈ¾Æ¼­ °³Ã´ÇÏ
02/01
¤ý¹è¸¦ 30ºÐÁ¤µµ Ÿ°í ³ª°¡µµ ÀϺη¯ ¸ð¾Ò´Ù
02/01
¤ýÁÁÀº ±ÛÀÔ´Ï´Ù ´ç¿¬È÷ û¼Ò´Â ÇØ¾ß°ÚÁÒ
01/22
   ĪÂù,ÁúŸ ÃÖ±Ù´ñ±Û 
¤ý±×°Å¸îǬ ¾Æ³¢·Á°í ±×·± ±Ç¸ð¼ú¼ö¸¦ ¾²´Â
02/23
¤ýÁ¡ÁÖ Á¶È²À» ¾È º»Áöµµ ¿À·¡µÇ¾ú´Âµ¥...
02/23
¤ý³»¿ëÀÌ ¸Â´Ù¸é ÀÌ°Ç »ç±âÁö¿ä. ±Ùµ¥ ¾÷ü
02/23
¤ýÀÌ»ç°Ç¿¡ ÇÇÇØÀÚ´Â ¼¼¾çǪ°¡ ½ºÅÇÀÔ´Ï´Ù
02/23
À̸§¾ÆÀÌÄÜ ¹Ù´ÙºÎ¾ûÀÌ
2026-02-18 16:50
IP:49.xxx.16
'°¨½ÃÃß³ë²Û' ´ÔÀÌ ¼±ÅÃÇÑ ±Û ÀÔ´Ï´Ù.
°æ½Å·¹Á® ÃßõÇÒ¸¸ ÇÑ°Í °°½À´Ï´Ù.
ÆÈÀÌ ¾ÆÇÃÁ¤µµ·Î Àâ¾î½Å°Í ¸Â´Â°Í °°½À´Ï´Ù.
¸ÚÁø ¼Õ¸À º¸½Å°Í ÃàÇÏ µå¸³´Ï´Ù. ¼ö°í Çϼ̽À´Ï´Ù.
   
À̸§¾ÆÀÌÄÜ ¶¯°¨½Ã
2026-02-18 03:38
IP:211.xxx.192
ȸ¿ø»çÁø
¿ª½Ã³ª ´ë´ÜÇϽʴϴÙ
¿ÏÀü ±×¹°Á¶°ú¸¦
¿Ã¸®¼Ì³×¿ä
½Ç·ÂÀÌ ºÎ·´½À´Ï´Ù
ÃàÇϵ帳´Ï´Ù
   
À̸§¾ÆÀÌÄÜ ³ëÃѰ¢´Á´ë
2026-02-18 08:43
IP:221.xxx.106
ȸ¿ø»çÁø
¿Í¿ì...°¨¼ºµ¼ÀÌ °¡µæ°¡µæ ÇÕ´Ï´Ù..
¸¶¸´¼ö ¼Õ¸À ÃàÇÏÇÕ´Ï´Ù..

¼ö°íÇß½À´Ï´Ù...^*^
   
À̸§¾ÆÀÌÄÜ ¼Û¾Ö
2026-02-18 10:04
IP:58.xxx.86
ȸ¿ø»çÁø
¿Í~Á¤¸» ´ë¹Ú ¼Õ¸ÀÀ» º¸¼Ì³×¿ä.
Àú Á¤µµ¸é Á¤¸» ¼Õ¸ø ¾ÆÇà µíÇÕ´Ï´Ù.
ÃàÇÏÇÕ´Ï´Ù.^*^
   
À̸§¾ÆÀÌÄÜ Ä«½ºÅ¸
2026-02-18 10:11
IP:118.xxx.167
½Ç·ÂÀÌ ºÎ·´½À´Ï´Ù
ÃàÇϵ帳´Ï´Ù
   
À̸§¾ÆÀÌÄÜ ³¬½Ã°¡ÃÖ°í
2026-02-18 13:01
IP:112.xxx.141
ȸ¿ø»çÁø
Á¤¸»´ë´Ü ÇϽʴϴÙ
¸ðµç ½Ä±¸µéÀÌ ¼³¸íÀý ½¬·Á°í ¿Â °¨¼ºµ¼ °¡Á·À» ¸ðÁ¶¸® Àâ¾î½Å°Í
°°½À´Ï´Ù
¼Õ¸À ¹«ÁøÀå º¸½Å°Í ÃàÇÏ µå¸³´Ï´Ù
   
À̸§¾ÆÀÌÄÜ ¼ö°¡
2026-02-18 14:56
IP:14.xxx.160
¸¶¸´¼ö°¡ Á¤¸» ´ë´Ü Çϳ׿ä
Á¤¸» ÆÈÀÌ ¾ÆÇÃÁ¤µµ·Î Àâ¾î½Å°Í ÃàÇÏ µå¸³´Ï´Ù.
¼ö°í Çϼ̽À´Ï´Ù.
   
À̸§¾ÆÀÌÄÜ ÃÖ°­·Ôµ¥
2026-02-18 15:32
IP:1.xxx.177
ȸ¿ø»çÁø
¿ÏÀü´ë¹ÚÀ̳׿ä
ºÎ·´½À´Ï´Ù
¼Õ¸À ÃàÇϵ帳´Ï´Ù
¼ö°íÇϼ̽À´Ï´Ù
   
À̸§¾ÆÀÌÄÜ ¿ô´Â¹è²Å
2026-02-18 16:18
IP:222.xxx.240
ȸ¿ø»çÁø
Á¤¸» ÃßõÇÒ¸¸ ÇÑ°Í °°½À´Ï´Ù.
¿ÏÀü ´ë¹Ú Á¶È²À¸·Î ¼Õ¸À º¸½Å°Í ³Ê¹« ÃàÇÏ µå¸³´Ï´Ù.
ºÎ·¯¿òÀÌ °¡µæÈ÷ ´À³¢¾î Áý´Ï´Ù. ¼ö°í Çϼ̽À´Ï´Ù.
   
À̸§¾ÆÀÌÄÜ ¾ÆºüÀÇûÃá
2026-02-18 21:01
IP:112.xxx.123
º¹¾î¿Í ¸Á»ó¾î ¼ºÈ­ ¼Ó¿¡¼­
ºÎºÎ°¡ ÇÔ²² 40¿©¼ö¸¦ Çϼ̳׿ä.
Áö±Ýµµ ¼Õ¸ñÀÌ ¿ì¸®ÇÒ¸¸ ÇϰڽÀ´Ï´Ù.
¼±¿Ü±â ¼±Àå´ÔÀÌ Æ÷ÀÎÆ®¸¦ ¤¾î³»´Â
¼Ø¾¾°¡ ´ë´ÜÇÏ°Ô ´À²¸Áý´Ï´Ù.
¼ö°íÇϼ̽À´Ï´Ù...
   
À̸§¾ÆÀÌÄÜ ÄɹÌ
2026-02-19 10:19
IP:1.xxx.58
´ë´ÜÇϽʴϴÙ.
¿ÏÀü ´ë¹ÚÀ̳׿ä.
ÁøÂ¥ º¹¾î¿¡´Â ´ëÃ¥ÀÌ ¾ø´Âµ¥.........
¹Ø¹äÀ» ¾ÈÁÖ´Â °Íµµ ÇѰ¡Áö ¹æ¹ýÀ̳׿ä
ÃàÇϵ帳´Ï´Ù.
   
À̸§¾ÆÀÌÄÜ ¹Ù´ÙÆæ
2026-02-21 22:13
IP:175.xxx.25
±×¾ß¸»·Î °¨½Ã¾îºÎ ó·³ ±×¹°·Î Àâ¾Æ³õÀº °Í °°³×¿ä... Áö°Ü¿ï Á¤µµÀÇ ¼Õ¸À ÃàÇϵ帳´Ï´Ù. ºÎ³¬¿¡¼­ óÀ½ º¸´Â »çÁøÀÌ¿¹¿ä. ÇÑ ¾øÀÌ Âî¸À, ¼Õ¸À, ÀÔ¸À º¸¼Ì°Ú³×¿ä.
   
 
  0
3500
À­±Û ´ÊÀº ÁÖ¸» Áö½Éµµ º¼¶ô³¬½Ã
¾Æ·¡±Û ¾ßÇѹ㠸ް¡¸® Á¶È²^*^
    ³¬½ÃÀÎ.....½Ç½Ã°£ °³ÀÎÁ¶È²  2014³âÀÌÈÄ
   µ¿³×³¬½ÃÅÍ ºÎÅÍ ¿øµµ±Ç ³¬½ÃÅͱîÁö Á¶È²¿¡ °ü·ÃµÈÁ¤º¸¸¦ ³ª´©°í °øÀ¯Çϴ°÷ÀÔ´Ï´Ù.   
 
Á¶È²°ú ¹«°üÇÑ Á¶´ã,Áú¹®,Æ÷ÀÎÅÍ,äºñ,,.µîÀºÇØ´çÄڳʸ¦ ÀÌ¿ëÇϽñ⠹ٶø´Ï´Ù.
¢Ñ 1ÁÖÀÏ ÀÌ»óµÈ Á¶È²,»ó¼¼Á¶È²Àº Á¶Çà±â¶õÀ» ÀÌ¿ëÇØÁֽñ⠹ٶø´Ï´Ù.
   ³¬½ÃÅÍ¿¡¼­ ÇѸ¶µð...  .......More
¤ýÇÑ´Þ ¸¸¿¡ ¤¸¤µ ¹æÆÄÁ¦ ²¿~~ Àâ°í±âõ±¹ ÀÌ
02/18
¤ý»Ê¶ó±¸ ´Ô ÁÖÀå¿¡ ÀüÀûÀ¸·Î µ¿ÀÇÇÕ´Ï´Ù Ä«°í
02/13
 ³¬½ÃÀ¯Æ©ºê,µ¿¿µ»ó Á¶È² °Ô½ÃÆÇ ½Å¼³¾È³»    ¢º ³¬½ÃÀÎ Çʵ彺ÅÇ Á¶È²¶õ °³¼³¾È³» 19-11-21  
¹øÈ£ Àå ¼Ò     ±Û Á¦ ¸ñ  ÀÛ¼ºÀÚ ÀÛ¼ºÀÏ Á¶È¸
12902 ¿ëÈ£µ¿   À̱â´ë °¹¹ÙÀ§ º¼Ææ±Þ ÇаøÄ¡µé 4 ¹é°æÇϾá°í·¡ 02-23 (¿ù) 266
12901 ¿ëÈ£µ¿   ¹é¿îÆ÷µµ ³»°¡ °¡¸é ÇвÇÄ¡°¡ ¼û¾ú´Â °Í.. 10 ¼Û¾Ö 02-23 (¿ù) 300
12900 ±âÀå   ÇвÇÄ¡ ½ß²Î... 9 ²¿¸¶³¬½Ã²Û 02-23 (¿ù) 396
12899 ¿ëÈ£µ¿   ¹é¿îÆ÷ ¹Ù¶÷µû¶ó ¿Â ÇаøÄ¡ 11 ¹é°æÇϾá°í·¡ 02-22 (ÀÏ) 802
12898 ¿ëÈ£µ¿   ÇвÇÄ¡ ¸¸³ª±â°¡ ½±Áö¾Ê³×¿ä. 23 ¼Û¾Ö 02-21 (Åä) 791
12897 °¡´ö   °¡´ö ÇвÇÄ¡ ÀÏÂï°¡ ºÃ½¿´ç ¹Ù±Û¹Ù±Û~~.. 10 ¼þ¾î¾ß³îÀÚ 02-21 (Åä) 925
12896 °¡´ö   °¡´ö ÇвÇÄ¡~~¾Á¾î´ãÀ½ 11 ¼þ¾î¾ß³îÀÚ 02-20 (±Ý) 1216
12895 ¿ëÈ£µ¿   º¼Ææ±Þ ÇаøÄ¡ Á¶È². 22 ¹é°æÇϾá°í·¡ 02-20 (±Ý) 800
12894 °¡´ö   ³¬½ÃÇϱâ ÁÁÀº³¯.Áñ°ÅÀÌ º¸³»°í ¿Ô½À´Ï.. 22 ¹«½Ö 02-19 (¸ñ) 1251
12893 °ÅÁ¦   ´ÊÀº ÁÖ¸» Áö½Éµµ º¼¶ô³¬½Ã 17 ÄÉ¹Ì 02-19 (¸ñ) 684
12892 Å뿵   °¨¼ºµ¼È긲¶¼°í±â(dzȭ¸®4ź) 12 °¨½ÃÃß³ë²Û 02-18 (¼ö) 1473
12891 ¿ëÈ£µ¿   ¾ßÇѹ㠸ް¡¸® Á¶È²^*^ 24 ¹é°æÇϾá°í·¡ 02-15 (ÀÏ) 1712
12890 ¿ëÈ£µ¿   À̱â´ë ÇвÇÄ¡ ¸çĥ° ¾È µé¾î ¿Â´Ù°í .. 23 ¼Û¾Ö 02-14 (Åä) 1285
12889 °¡´ö   õ¼º ¹æÆÄÁ¦ 12 ¸Ç³¯°íµî¾î 02-13 (±Ý) 2224
12888 ¿ëÈ£µ¿   ¹é¿îÆ÷ ¹æÆÄÁ¦ ¸Þ°¡¸® ¸¶¸´¼ö Á¶È² 18 ¹é°æÇϾá°í·¡ 02-12 (¸ñ) 1070
12887 ¿ëÈ£µ¿   º¼¶ô Ä«µå³¬½Ã^*^ 21 ¹é°æÇϾá°í·¡ 02-11 (¼ö) 1293
12886 °¡´ö   Àú¼ö¿Â±â °¨¼ºµ¼-°¡´ö 22 soleus 02-11 (¼ö) 1617
12885 ¿µµµ   ½Å¹æÆÄÁ¦ Àü¾îÄ«µå ³¬½Ã? 19 ¹é°æÇϾá°í·¡ 02-10 (È­) 1354
12884 ¿ëÈ£µ¿   ¾ÆÁ÷µµ ³Ê¿ïÀÌ ½ÉÇϳ׿ä 20 ¼Û¾Ö 02-09 (¿ù) 1052
12883 ±âÀå   ±âÀå Ǯġ°¡?? ½ß²Î... 13 ²¿¸¶³¬½Ã²Û 02-09 (¿ù) 1149
12882 ±âÀå   ¿ù³» ÇвÇÄ¡ 9 »Ê¶ó±¸´Ù 02-08 (ÀÏ) 1534
12881 ¿ëÈ£µ¿   ¶¯¶¯ÀÌ Ä¡°í ³Ñ¾î°¡ ºÃÁö¸¸. 21 ¼Û¾Ö 02-07 (Åä) 1042
12880 µ¿ÇØ±Ç   °Ü¿ï ÇÑÄ¡ 20 ¹°µµ±úºñ 02-07 (Åä) 961
12879 ¿ëÈ£µ¿   Àü¾î2¸¶¸® º¯½ÅÀº ¹«ÁË 22 ¹é°æÇϾá°í·¡ 02-06 (±Ý) 1091
12878 °ÅÁ¦   ÇаøÄ¡ ÁÖµÕÀ̸¦ Å©°Ô ¸¸µé ¼ø ¾ø´Ù 24 soleus 02-06 (±Ý) 1108
12877 °ÅÁ¦   1.2¹øÀÚ¸® µ¢¾î¸® ÇвÇÄ¡°¡ ¹Ùµé¹Ù±Û ÇÏ.. 11 ºÎ³²´ë¿©À¯ºZ 02-05 (¸ñ) 1523
12876 ³²ÇØ   ³²ÇØ ³ªµéÀÌ. 22 ¼Û¾Ö 02-05 (¸ñ) 814
12875 ¿µµµ   ¿µµµ ½Å¹æÆÄÁ¦ ÇаøÄ¡ Á¶È²! 22 ¹é°æÇϾá°í·¡ 02-04 (¼ö) 1532
12874 ¼­»ý   ½Å¾Ï 20 À̳ʰÔÀÓ 02-03 (È­) 1328
12873 °ÅÁ¦   ¸Á»ó¾î¸¸ÇÑ º¼¶ô ÀâÀ¸·¯ °¡¼­...... 19 ÄÉ¹Ì 02-02 (¿ù) 1364
12872 ¿ëÈ£µ¿   ¿À·úµµ ¼±ÂøÀå ¿ìÃø°¹¹ÙÀ§ ÇаøÄ¡ 20 ¹é°æÇϾá°í·¡ 02-01 (ÀÏ) 1788
12871 ¿ëÈ£µ¿   ¶¯¶¯ÀÌÄ¡°í ³Ñ¾î°¡ ºÃ½À´Ï´Ù. 19 ¼Û¾Ö 01-31 (Åä) 1260
12870 °ÅÁ¦   °ÅÁ¦³²ºÎ-±¥¾ÂÇÑ °¡¸¶±Í »õ±Í 26 soleus 01-30 (±Ý) 1538
12869 ¿ëÈ£µ¿   ¹é¿îÆ÷ ¹æÆÄÁ¦ °íµî¾î°¡ µé¾î ¿Ô³×¿ä. 20 ¹é°æÇϾá°í·¡ 01-29 (¸ñ) 1340
12868 Å뿵   ÀÌ·²¼ö°¡...(°¨¼ºµ¼Á¶È²) 13 °¨½ÃÃß³ë²Û 01-28 (¼ö) 2139
12867 ¿ëÈ£µ¿   ÇвÇÄ¡µéÀÌ ¸Ö¸® °£ ¸ð¾çÀ̳׿ä 24 ¼Û¾Ö 01-27 (È­) 1432
12866 ¿ëÈ£µ¿   ¿îµ¿ °¬´Ù¿Í¼­ ´Ê°Ô ³Ñ¾î°¡ ºÃ½À´Ï´Ù. 23 ¼Û¾Ö 01-26 (¿ù) 1224
12865 ¿ëÈ£µ¿   À̱â´ë ¾ß°£³¬½Ã---Ȳ...... 22 ÄÉ¹Ì 01-26 (¿ù) 873
12864 Å뿵   ¿äÁò ½Â·üÀÌ ÁÁ³×¿ä(dzȭ¸®¼±¿Ü±â) 12 °¨½ÃÃß³ë²Û 01-26 (¿ù) 1186
12863 ¿ëÈ£µ¿   ¹é¿îÆ÷ ¹æÆÄÁ¦´Â ¸Þ°¡¸®°¡ Àֳ׿ä. 21 ¹é°æÇϾá°í·¡ 01-24 (Åä) 1163
12862 ¿ëÈ£µ¿   ¿À´Ã ³Ñ¾î°¡ ºÃ½À´Ï´Ù. 18 ¼Û¾Ö 01-24 (Åä) 973
12861 ¿ï»ê   ½Å¸® 19 À̳ʰÔÀÓ 01-23 (±Ý) 1238
12860 °ÅÁ¦   ÀÛ³â´ë¹ÚÅÍÁø ÇÑÀûÇѸ¶À» ¾¾¾Ë±Â ÇвÇÄ¡.. 9 ºÎ³²´ë¿©À¯ºZ 01-22 (¸ñ) 1789
12859 ¿ëÈ£µ¿   µ¿³× ³¬½ÃÅÍ ¹é¿îÆ÷ ¹æÆÄÁ¦ ¸Þ°¡¸®µé ^.. 22 ¹é°æÇϾá°í·¡ 01-20 (È­) 1640
12858 °¡´ö   ¿Ã°Ü¿ï µÎ¹øÂ° 5Â¥ °¨¼ºµ¼ 11 È£¶û³ªºñ 01-19 (¿ù) 1652
12857 °¡´ö   2026³â ùÃâÁ¶ 24 ¹«½Ö 01-19 (¿ù) 1245
12856 ³²ÇØ   º¼¶ô ´ë½Å °¨¼ºµ¼À¸·Î ´ë¹Ú........ 23 ÄÉ¹Ì 01-19 (¿ù) 1298
12855 ¿ëÈ£µ¿   üÀ°¼¾ÅÍ ¶¯¶¯ÀÌ Ä¡°í ³Ñ¾î°¡ “R½À´Ï´Ù.. 20 ¼Û¾Ö 01-17 (Åä) 1568
12854 ¿ëÈ£µ¿   2026³â À̱â´ë °¹¹ÙÀ§ ÈçÀû Ž»ç ^*^ 18 ¹é°æÇϾá°í·¡ 01-17 (Åä) 1086
12853 ±âÀå   ±âÀå3 9 ±âÀûÀûÀ¸·Î 01-17 (Åä) 1215
12852 ¼­»ý   ¼­»ý º¬¿¡µ¼ 22 À̳ʰÔÀÓ 01-16 (±Ý) 807
12851 ¿ëÈ£µ¿   ¹Ù¶÷µµ ¾ø°í ³Ê¿ïµµ ¾ø´Ù´Â ¿¹º¸¸¦ º¸°í.. 17 ¼Û¾Ö 01-16 (±Ý) 927
12850 °¡´ö   °¡´öµµ Àü°»ÀÌ 22 ÆÈ°è 01-14 (¼ö) 2064
12849 ¿ëÈ£µ¿   ¹Ù´Ù »óȾÀÌ ÁÁ´Ù°í ÇØ¼­ ³Ñ¾î°¡ ºÃ½À´Ï.. 21 ¼Û¾Ö 01-14 (¼ö) 1322
12848 °ÅÁ¦   ¹Ù¶÷¿¡ ÀÛ»ì ³­ ÇаøÄ¡ 23 soleus 01-14 (¼ö) 1833
12847 ±âÀå   ±âÀå2 9 ±âÀûÀûÀ¸·Î 01-13 (È­) 1408
12846 ¿ëÈ£µ¿   üÀ°¼¾ÅÍ ÈÞ°üÀ̶ó ÀÏÂï ³Ñ¾î°¡ ºÃ½À´Ï.. 23 ¼Û¾Ö 01-12 (¿ù) 1272
12845 »çõ   °¨½Ã ¾ß¿µÁ¶È² 22 ½ê¸® 01-12 (¿ù) 1457
12844 ¿ëÈ£µ¿   ¸Þ°¡¸® ´ë½Å »ïÄ¡! 18 ¹é°æÇϾá°í·¡ 01-09 (±Ý) 1520
12843 ¿ëÈ£µ¿   °ÅÁ¦ ÂÊ ³ªµéÀÌ 27 ¼Û¾Ö 01-09 (±Ý) 1284
12345678910,,,216
»çÀ̹ö¹Ù´Ù³¬½ÃÀÇ ±¤Àå ºÎ³¬
    ¿ù°£ Á¶È¸ top7
 Ãµ¼º ¹æÆÄÁ¦ 2224
 ÀÌ·²¼ö°¡...(°¨¼º. 2139
 ¿À·úµµ ¼±ÂøÀå ¿ì. 1788
 ¾ßÇѹ㠸ް¡¸® Á¶. 1712
 Àú¼ö¿Â±â °¨¼ºµ¼-. 1617
 °ÅÁ¦³²ºÎ-±¥¾ÂÇÑ . 1538
 ¿ù³» ÇвÇÄ¡ 1534
    ¿ù°£ ´ñ±Û top7
 ÀÌ·²¼ö°¡...(°¨¼º. 2139
 °ÅÁ¦³²ºÎ-±¥¾ÂÇÑ . 1538
 ±âÀå Ǯġ°¡?? ½ß. 1149
 ¿äÁò ½Â·üÀÌ ÁÁ³×. 1186
 ¿îµ¿ °¬´Ù¿Í¼­ ´Ê. 1224
 ÇвÇÄ¡µéÀÌ ¸Ö¸® . 1432
 Ãµ¼º ¹æÆÄÁ¦ 2224
ÃÖ±Ù6°³¿ù °øÀ¯¼øÀ§
1 .
¹é°æÇϾá°í·¡  
50

2 .
¼Û¾Ö  
41

3 .
ºÎ³²´ë¿©À¯ºZ  
18

4 .
Äɹ̠ 
16

5 .
¿ëÈ£  
14

¡ã top30 ȸ¿ø ´õº¸±â
°³ÀÎÁ¤º¸Ãë±Þ¹æÄ§ | À̸ÞÀϹ«´Ü¼öÁý°ÅºÎ | ÀÌ¿ë¾à°ü | ±â»çÁ¦º¸ | °øÁö»çÇ× |      ±¤°í¾È³» | ÇùÂù¾÷üÄÚ³Ê | °ü¸®¸Þ´º


Copyright ©Ï Since 2002.Mar By ºÎ³¬ All Right Reserved
´ëÇѹα¹ ¹Ù´Ù³¬½ÃÀÇ ¸ÞÄ« ºÎ³¬    www.ybada.co.kr / www.bunak.co.kr
»ç¾÷ÀÚ¹øÈ£:602-08-67249     Åë½ÅÆÇ¸Å¾÷½Å°í:¿µµµ-00041  Mail:dscoo@naver.com
ºÎ»ê½Ã ¿µµµ±¸ ÅÂÁ¾·Î 327 (2F)      TEL: 070-8165-2224    H.P: 010-3837-2518
ºÎ³¬°èÁ : ºÎ»êÀºÇà 046-01-033431-1 ÃÖÈ¿±Ô     ¿äû,¹®ÀÇ»çÇ×´Â ¿î¿µÁøÄݶõÀ» ÀÌ¿ëÇØÁÖ¼¼¿ä.
°³ÀÎÁ¤º¸Ãë±Þ¹æÄ§     ÀüÀÚÀûÇ¥½Ãµî·Ï
ºÎ³¬Àº SSLº¸¾È¼­¹ö·Î ȸ¿øÁ¤º¸¸¦
¾ÈÀüÇÏ°Ô º¸È£Çϰí ÀÖ½À´Ï´Ù.